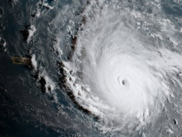
«Մարիա» արեւադարձային փոթորիկը՝ Ատլանտյան օվկիանոսում

Ատլանտյան օվկիանոսում՝ Հարավային Ամերիկայի ու Կարիբյան ծովի ափերից ոչ հեռու ձեւավորվել է «Մարիա» արեւադարձային փոթորիկը։ Այս մասին հայտնում է ԱՄՆ փոթորիկների նախազգուշացման կենտրոնը՝ կանխատեսելով փոթորկի ուժեղացում։ Կենտրոնի տվյալներով՝ հաջորդ շաբաթվա սկզբին «Մարիա» փոթորիկը կուժգնանա։ Այս պահին փոթորիկը շարժվում է արեւմտյան ուղղությամբ՝ մոտ 32 կմ/ժ արագությամբ։

դիտվել է 62 անգամ
Լրահոս
Երևանում բախվել են Mercedes-ն ու Range Rover-ը. վերջինը բախվել է ծառին. կան վիրավորներ Պետությունը՝ ի դեմս վարչապետի, բազմաթիվ հարթություններում միջամտել է եկեղեցու ինքնավարությանը, ներքին կյանքին և նույնիսկ ծեսերին. զեկույց Ընտրողների ակտիվ մասնակցությունը՝ որպես իշխանության դատավճիռ. Սուրեն Սուրենյանց Սպասվում են կարճատև տեղումներ Արցախցի հազարավոր ընտանիքներ այսօր գտնվում են ծայրահեղ ծանր վիճակում. Արցախի պետնախարար Իրավիճակը` ՀՀ ճանապարհներին Լևոն Ազիզյանի հետաքրքիր դիտարկումները․ ինչպե՞ս կփոխվեին կլիման և եղանակը Երկրի վրա Ներկայացվել են Հայաստանի և Հնդկաստանի արտադրության սպառազինության նմուշները Այս իշխանությունը վերջին տարիներին հայ ժողովրդին ավելի շատ վնաս է հասցրել, քան օգնել․ Առաքելյան ԱԺ «Հայաստան» խմբակցությունը նամակ է հղել ՀՀ ժամանող ԱՄՆ փոխնախագահին․ մանրամասներ Պայմանագրային զինծառայողի մահվան դեպքի առթիվ նախաձեռնվել է քրեական վարույթ Ձմեռային Օլիմպիական խաղեր․ Հայաստանի առաջին մասնակցի արդյունքը ԱՄՆ տնտեսական հարցերով փոխնախարարը կժամանի Հայաստան Սարոյան Արման, քա՞նի անգամ ես Պատարագ մատուցել և Աստծո առաջ վկայել մեր ուղղափառ լինելը, այս հարցով էլ դիմիր դատարան. Ֆարմանյան Փետրվարի 8-ին Թբիլիսիում կանցկացվի հանրահավաք՝ հաջակցություն Հայ Առաքելական Սուրբ Եկեղեցու ՀՀ քաղաքների մթնոլորտային օդում փոշու պարունակությունը՝ հունվարի 24-30-ը Ֆրանսիան կոչ է անում Իրանի կողմից աջակցվող խմբավորումներին զսպվածություն ցուցաբերել՝ տարածաշրջանում անկայունացումից խուսափելու համար Ինչո՞ւ հայ-ամերիկյան կանոնադրությունը չի դրվում վավերացման, ինչպես սահմանազատման հանձնաժողովինն արվեց. Հակոբ Բադալյան «Ուղղափառ» եզրույթը չի խաթարում Հայ Եկեղեցու դավանական ինքնությունը. Տեր Մաղաքիա ՄԱԳԱՏԷ-ն նախազգուշացրել է միջուկային անվտանգության ռիսկերի մասին՝ Ուկրաինայի էներգահամակարգում խնդիրների պատճառով Ապարանի, Արագածի տարածաշրջանների ավտոճանապարհներին բուք է Դանակnվ զինվшծ տղամարդը Ուֆայի հանրակացարանում հարձшկվել է ուսանողների վրա Հայտնաբերվել է պայմանագրային զինծառայողի դին Չեղարկվել է Թեհրան-Երևան չվերթը TRIPP-ը «ինքնիշխան» նիկոլական Հայաստանի թշվառության ևս մեկ ապացույցն է․ Աշոտյան
Ամենաընթերցվածները
Շուտով
Փետրվարի 6-ին՝ ժամը 16։00-ին, Հայելի ակումբի հյուրն է Միասին շարժումից Ժասմինա Ղևոնդյանը Փետրվարի 6-ին՝ ժամը 15։00-ին, Հայելի ակումբի հյուրն է ազատամարտիկ Սեյրան Չիլինգարյանը Փետրվարի 6-ին՝ ժամը 14։00-ին, Հայելի ակումբի հյուրն է Մայր Հայաստանից Արշակ Սարգսյանը Փետրվարի 6-ին՝ ժամը 12։00-ին, Հայելի ակումբի հյուրն է Հայկ Այվազյանը Փետրվարի 6-ին՝ ժամը 11։00-ին, Հայելի ակումբի հյուրն է ՀՀ ԶՈՒ պահեստի գնդապետ Վոլոդյա Հովհաննիսյանը Փետրվարի 5-ին՝ ժամը 16։00-ին, Հայելի ակումբի հյուրն է «Համահայկական ճակատ» շարժման անդամ Ռուզան Ստեփանյանը Փետրվարի 5-ին՝ ժամը 15։00-ին, Հայելի ակումբի հյուրն է գյումրեցի իրավապաշտպան Կարապետ Պողոսյանը Փետրվարի 5-ին՝ ժամը 13։00-ին, Հայելի ակումբի հյուրն է լեզվաբան Նարինե Դիլբարյանը Փետրվարի 5-ին՝ ժամը 12։00-ին, Հայելի ակումբի հյուրն է արցախցի Անաստաս Իսրայելյանը Փետրվարի 4-ին՝ ժամը 11։00-ին, Հայելի ակումբի հյուրն է արցախցի Անաստաս Իսրայելյանը
Հետևեք մեզ Viber-ում https://cutt.ly/5wn8sJBS
Hayeli.am